PHILODENDRON LUPINUM

PHILODENDRON LUPINUM

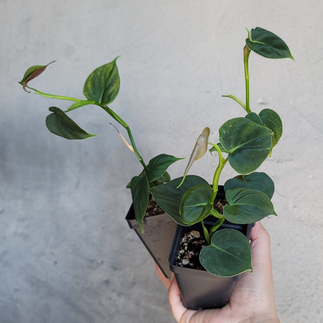
Philodendron lupinum is a very interesting plant that undergoes many changes as it matures. This ever-changing plant can easily be confused with Philodendron hederaceum var hederaceum due to the similarity in the leaves while the plant is young. If you’re thinking of adding this rarity to your collection of houseplants, keep the following in mind:

  • Bright indirect light is best for Philodendron lupinum.
  • Between 55°- 80°F (12-27°C) is perfect for this plant. Humidity should be kept above 60%
  • Water once the top inch (2.5 cm) of soil dried out. Lupinum is quite draught-resistant. Keeping a regular watering schedule is best but not strictly required
  • Toxic when ingested. Precations must be taken around children and pets.
  • A well-draining soil mix is required. Make sure it contains a lot of organic material
  • This plant usually reaches a size of 6 to 8 inches (15-20 cm) when kept as a houseplant

In-Depth Care Guide

Usually, Lupinum starts its life in the canopies of a small part of the "Terra Firme" forest in the north of its native county, Brazil. As the plant matures it changes and roots itself. This makes it possible to grow them in mediums other than soil such as sphagnum moss. For a better understanding of this plant’ read the care guidelines below.

Water

Lupinum is fairly drought tolerant. This doesn’t mean you can just forget about your plant, however, but you can mix up the watering schedule a little.

The drought-resistant qualities of this plant also make it possible to keep it in substrates besides soil like 100% sphagnum moss.

To be sure your plant gets enough water, do the finger test. This means simply sticking your finger about 1 inch (2.5cm) into the substrate. If the substrate feels dry you can thoroughly water your plant. If the substrate still feels moist you can skip watering for the day.
Repeat the finger test every day to make sure your plant receives just the right amount of water.

Light

Philodendron lupinum prefers an environment with bright indirect light, but it also does well in low light conditions. This means that your bathroom will be a perfect home for it if there’s ample light.

You can also place your plant in rooms that are darker than most plants will tolerate as long as there’s ample humidity. Just keep in mind that your plant still requires some light to grow properly.

Soil

It is best to give your Philodendron lupinum a well-draining soil mix. It is quite a hardy plant which means the soil doesn’t have to retain water for too long. Soil with lots of organic matter is also a good choice as long as it still retains its draining qualities.

Since Lupinum can be grown outside of the soil, you can also opt to grow it in a 100% moss substrate. This opens up options for growing it in places where a pot just isn’t suitable. If you want to make a potting mix, fo for 50% sphagnum moss and 50% perlite or vermiculite.

Fertilizer

Your Philodendron Lupinum must be fed a balanced liquid fertilizer that contains calcium and magnesium. The lack of these minerals will cause pale leaves in your plant.

Dilute the fertilizer to half strength before feeding to your plant. Also, make sure to water your plant before applying the fertilizer to avoid root burn. Feeding your Lupinum once a month during the growing season should be sufficient. You can skip fertilizing during the winter months.
Fertilizer will help your plant to sustain healthy growth and reproduction.

Humidity

Philodendron Lupinum must be kept in a high humidity environment of around 60% humidity if you want it to thrive. They can tolerate lower humidity, but won’t be as healthy.
To increase the humidity around your plant, keep it in your bathroom. You can also mist the leaves regularly or place your plant on a humidity tray.

If you’d like to use a humidity tray, fill it with flat stones above the waterline. Place your pot on the stones and fill the tray with water. Make sure the water doesn’t touch the pot your philodendron is in.
As the water evaporates, it will create a humidity bubble around your plant which in turn keeps your plant healthy.
Plants kept in too low humidity will develop brown, dry leaf tips.

Back to blog